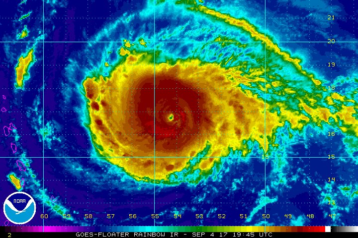
Hurricane Irma: Florida declares emergency
The storm is yet to hit the state, but its proposed path led the state Governor Rick Scott to declare an emergency in all 67 counties in the state.
Releasing a statement, Scott said: "In Florida, we always prepare for the worst and hope for the best, and while the exact path of Irma is not absolutely known at this time, we cannot afford to not be prepared."

"This state of emergency allows our emergency management officials to act swiftly in the best interest of Floridians without the burden of bureaucracy or red tape," the Governor added.
Emergency has also been issued in Puerto Rico, a Caribbean island and an unincorporated U.S. territory.
Schools and Universities have also been ordered to remain shut on Tuesday, following the warnings.
Earlier, Hurricane Harvey battered Texas, killing at least 63 people.
The storm broke a 12-year-record as several part of the state was left inundated.
Recovery operations are still going on in Texas.
Images: @NHC_Atlantic/Twitter
Support Our Journalism
We cannot do without you.. your contribution supports unbiased journalism
IBNS is not driven by any ism- not wokeism, not racism, not skewed secularism, not hyper right-wing or left liberal ideals, nor by any hardline religious beliefs or hyper nationalism. We want to serve you good old objective news, as they are. We do not judge or preach. We let people decide for themselves. We only try to present factual and well-sourced news.
